novo cadastro
área do corretor

Fazer login
Recupere a sua senha Recuperar senha

login
área do corretor

Recupere a sua senha
Recuperar senha
Novo cadastro

esqueci minha senha
área do corretor

Fazer login
Novo cadastro

Resumo do
imóvel
LAJ185

A PARTIR DE

R$ 155.000,00

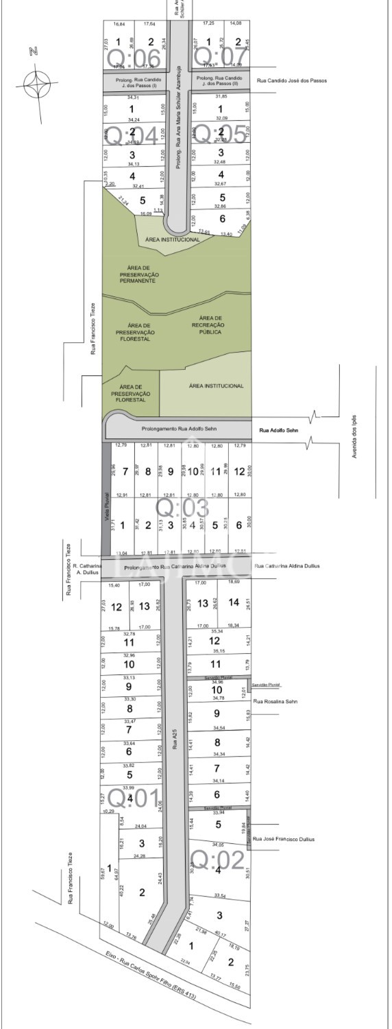
Código do Imóvel › LAJ185
Finalidade › Venda
Tipo › Terreno
Área Total › 358,36m²

Código do Imóvel › LAJ185
Finalidade › Venda
Tipo › Terreno

Área Total › 358,36m²


Localização › Conventos - Lajeado - RS
Descrição › Estar pro?ximo de quem a gente gosta,
brincar na rua,
pegar fruta no pe?.
Esta e? a vida de quem morar no Loteamento Morro dos Conventos.?

Um empreendimento que aproxima as relac?o?es mais importantes.?

Ler Mais ›Recolher ›

A PARTIR DE

R$ 155.000,00

Características
do imóvel

  • Área Total › 358,36m²

Contato da
Imobiliária

Lajimob
Vendas › (51) 98977.1445
E-mail › [email protected]

Tenho
interesse

assine nossa
newsletter

Fique por dentro de tudo o que acontece no mercado imobiliário, receba promoções imperdíveis, imóveis exclusivos e muito mais...

Agendar Visita

Preencha o formulário abaixo, para agendar uma visita ao imóvel

  • LAJ185
    Terreno
    Conventos

Receba Notificações em seu E-mail com imóveis Semelhantes a este.